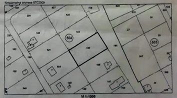
673 m² großes Baugrundstück, Wasser- und Stromanschluss an der Grenze, im Villengebiet von Kranevo, 3 km vom Meer entfernt
KRANEVO, DOBRICH
|
€ 25,500
|
||||
ID: MKL489
|
||||
Schlafzimmer: Baugrundstück Grund: 673 qm Gebiet: 3 km bis zum Meer km vom Meer: 3 |
||||
| Dorf: KRANEVO (Einwohner: 1005) - 146 Häuser Durchschnittspreis KRANEVO - € 55990 DOBRICH Bezirke - 5670 Häuser Durchschnittspreis DOBRICH Bezirke - € 33348 | ||||
| « vorherig Haus | « zurück zum Haus Liste » | nächsten Haus » |
673 m² großes Baugrundstück im Dorf Kranevo in der Region Polyanit zu verkaufen.
Ständige Bewohner mit Häusern, die alle Seiten des Grundstücks säumen.
Grundstücksfläche 673 m², reguliertes Grundstück mit Bebauungsmöglichkeit.
Wasser und Strom an der Grenze.
Schotterweg zum Grundstück.
Tolle Lage, in der Nähe von Geschäften und Restaurants.
Ideal für den Bau eines Hauses oder eines Hotels.
Entfernungen:
- 3 km bis zum Meer
- 40 m zum Flughafen Warna
- Auswandern nach Bulgarien, lebenskosten überprüfen
- Alle Häuser haben Strom.
- Über 98 Prozent aller Häuser haben Zugang zu fließendem Wasser, mit Ausnahme einiger kleinen abgelegenen Dörfern in den Bergen.
- Alle Häuser in den Dörfern haben eine Klärgrube, ist ein zentrales Abwassersystem nur in wenigen sehr großen Dörfern zur Verfügung.
- Alle Häuser haben Zugang zum Internet..
- Es gibt mindestens einen Dorfladen in jedem Dorf in Bulgarien, außer einigen kleinen abgelegenen Dörfern in den Bergen.
Anbieter kontaktieren





